全归类师在线,免费帮你解决商品归类疑难问题

 找回密码
 注册

QQ登录

只需一步,快速开始

手机号码,快捷登录

手机号码,快捷登录

在线
客服

在线客服服务时间: 9:00-24:00

选择下列客服马上在线沟通:

快速
发帖

客服
热线

010-62010715
7*24小时客服服务热线

关注
微信

关务资讯公众号
顶部
海关AEO认证申请全攻略2022年预归类师考试秘籍中国船务课程视频2020年关务水平测试培训
申请进出口商品预归类视频!AEO认证政策解读商品归类在线解答海关AEO认证,100%通过
AEO认证服务网北京岸谷关务官网预归类服务-归类师权威操作预归类考试网
查看: 27383|回复: 0

南京海关公布2022年度截获外来物种典型案例

[复制链接]
发表于 2023-8-1 13:30:29 | 显示全部楼层 |阅读模式
>>>>>>>>>>>>>>>>>>>>>>

南京海关公布2022年度

截获外来物种典型案例



2022年,南京海关认真学习贯彻党的二十大精神,坚决落实海关总署“国门生物安全关口海关必把牢”的部署要求,扎实推进“国门绿盾2022”和跨境电商寄递“异宠”综合治理专项行动,严防重大动植物疫情传入和外来物种入侵,取得显著成效。其中,检出植物有害生物15.01万种次,位居全国海关系统第一,首次截获光点小火蚁。现在展示部分典型截获案例,提高社会公众生物安全意识。



筑牢口岸检疫防线

把牢国门生物安全关口

PART 01

动物类

01

粗糙后棘蝎

w5.jpg

w6.jpg

  图为:从莫桑比克原木中截获粗糙后棘蝎。

截获情况

2022年5月30日,南京海关所属张家港海关在对一批来自莫桑比克的集装箱运原木实施开箱查验时截获一只活体蝎子。经实验室鉴定为粗糙后棘蝎(Opisthacanthus asper)。

危害性

蝎对人或动物具有一定的攻击性。不同蝎种携带的毒力强度不一样,毒性较弱的仅有局部麻痹作用,毒力强的可相当于眼镜蛇蛇毒,对呼吸中枢有麻痹作用,对心血管有兴奋作用,中毒严重者会出现死亡。

国外分布

主要分布在南非东部、津巴布韦和莫桑比克。

02

巨渴蛇

w7.jpg

w8.jpg

图为:从莫桑比克进境的集装箱运原木中截获巨渴蛇。

截获情况

2022年12月14日,南京海关所属张家港海关在对一批来自莫桑比克的进境集装箱运原木实施现场查验时,在其中一个集装箱内地板上角落处发现一条小型活蛇。经实验室鉴定为巨渴蛇属的一种(Dipsadoboa sp.)。

危害性

活体蛇类容易携带寄生虫或病毒,部分种类本身就带有毒性,一旦传入我国,将会对我国的人民安全和生态环境带来一定的风险。

国外分布

遍布了东半球,主要分布于撒哈拉以南的热带雨林和开阔林地。

03

红带步行蛙

w9.jpg

图为:从赞比亚进境的集装箱运原木中截获红带步行蛙。

截获情况

2022年9月20日,南京海关所属张家港海关在对一批集装箱运载的进口赞比亚原木进行开箱查验时,在原木缝隙间截获一只活蛙。经实验室鉴定为红带步行蛙(Phrynomantis bifasciatus)。

危害性

该种青蛙皮肤可分泌出有毒性的分泌物,若以手碰触会令人感到痛感,如碰到伤口会轻微中毒,基本症状包括肿痛,呼吸困难、头痛、心跳加速、恶心等。

国外分布

索马里南部至安哥拉向东南方向的广阔地带,并向南延伸到纳米比亚、博茨瓦纳和南非。

PART 02

昆虫类

01

拟苔藓枯叶螳和戴安娜丽矛螳

w10.jpg

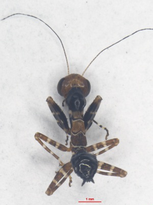
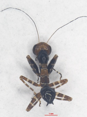
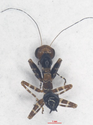
图为:江阴海关关员在植物检疫养虫室观察“异宠”螳螂的形态。

截获情况

2022年12月13日,南京海关所属江阴海关在来自秘鲁的申报品名为“视频转换器”的邮件中,查获藏匿进境的3个螳螂卵鞘以及孵化出的62只活体螳螂。经实验室鉴定为拟苔藓枯叶螳(Pseudacanthops lobipes)和戴安娜丽矛螳(Callibia diana)。

危害性

w11.jpg

拟苔藓枯叶螳

(标本图片)

戴安娜丽矛螳

(标本图片)

w12.jpg

拟苔藓枯叶螳和戴安娜丽矛螳国内均未见报道,属于外来生物,进入国内可能会破坏生物多样性和生态平衡,螳螂体内也会携带一些细菌、病毒、寄生虫等有害的微生物。

国外分布

拟苔藓枯叶螳原产于北美洲哥斯达黎加,分布区域较窄。

戴安娜丽矛螳原产于法属圭亚那、秘鲁、玻利维亚、委内瑞拉、哥伦比亚等南美洲地区。

02

暗褐断眼天牛

w13.jpg

  图为:从进境云杉原木中截获暗褐断眼天牛。

截获情况

2022年8月25日,南京海关所属太仓海关在对进境来自拉脱维亚云杉原木进行现场查验时,查验关员在云杉原木上发现活体昆虫。经实验室鉴定为暗褐断眼天牛(Tetropium fuscum)。

危害性

主要侵害衰弱木和伐倒木,但在种群密度增加时也危害活立木。

w14.jpg

图为:暗褐断眼天牛(标本图片)。

国外分布

欧洲、西伯利亚西部及乌拉尔山中纬度地带、日本、土耳其、加拿大等国。

03

拉克德雷异胫长小蠹

w15.jpg

  图为:检疫查验现场图片。

截获情况

2022年10月20日,南京海关所属靖江海关在对一批进口巴布亚新几内亚原木开展查验时,截获活虫6头。经实验室鉴定为拉克德雷异胫长小蠹(Crossotarsus lacordairei),属检疫性有害生物,为全国首次截获的外来物种。

危害性

钻蛀性害虫,可寄生在新鲜或腐烂的木材上,个体较大,造成较深较大的孔洞,严重影响木材品质。

w16.jpg

图为:进境巴布亚新几内亚原木中截获的拉克德雷异胫长小蠹的雌虫(上)和雄虫(下)。

国外分布

巴布亚新几内亚、新爱尔兰岛、俾斯麦岛、阿鲁巴岛等地区。

04

日本大锹甲

w17.jpg

  图为:从日本进境邮件中截获日本大锹甲。

截获情况

2022年9月28日,南京海关所属金陵海关驻邮局办事处现场关员在对进境邮件进行X光机例行检查时,发现一个来自日本申报为“塑料玩具”的邮件,图像显示异常,有疑似大型昆虫活动迹象,随即开箱查验,发现实际内容为一大一小2个包装完好、内有湿润木屑的长方体塑料盒,每个盒子内各有活体甲虫1头。经实验室鉴定为日本大锹甲 (Dorcus hopei binodulosus)(一雌一雄)。

w18.jpg

  图为:日本大锹甲(上:雄虫,下:雌虫)。

危害性

如果人为弃养,在适宜的环境条件下扩散定殖,污染本土甲虫的基因库,与当地生物竞争食物资源和生存空间,打破原有的生物链平衡,影响生物多样性,而且外来物种极易携带动植物疫情和有害生物传入,会对当地的生态环境和农林业生产造成威胁。

国外分布

主要产自日本,韩国亦有分布。

05

野蛮收获蚁

w19.jpg

  图为:从日本进境邮件中截获野蛮收获蚁。

截获情况

2022年10月,南京海关所属苏州海关邮件监管现场关员在监管入境邮件时,发现由法国入境的3个邮件机检图像异常,遂重点查验。经人工开箱查验,发现该3个邮件内均有大量微型离心管分装的活体蚂蚁,每管1只,体长约1厘米,3批活体蚂蚁合计1533只。经实验室鉴定为野蛮收获蚁(Messor barbarus)。

危害性

野蛮收获蚁在原产地被定义为害虫。具有非常强的生命力,并且繁殖能力强,一旦进入我国,非常可能因为缺少天敌而出现种群泛滥现象。

国外分布

北非和欧洲南部。

PART 03

杂草类

01

齿裂大戟

图为:齿裂大戟

(植株)

w20.jpg

w21.jpg

图为:从进境粮食中截获齿裂大戟(种子)。

截获情况

2022年,南京海关所属泰州海关在对进境大豆进行查验时,截获多种检疫性有害生物,其中从巴西、阿根廷和美国大豆中分别截获检疫性有害生物齿裂大戟(Euphorbia dentata)390 种次、42 种次和25 种次。

危害性

对园林绿地、花圃等有一定的危害。容易形成优势群落,破坏当地生态系统。

国外分布

原产北美。

02

刺果瓜

w22.jpg

图为:从进境粮食中截获刺果瓜(种子)。

图为:刺果瓜(植株)。

w23.jpg

截获情况

2022年2月18日,南京海关所属泰州海关在对进境美国大豆进行岸边查验时,在大豆筛下物中发现多种杂草,其中一种经鉴定为外来恶性杂草刺果瓜(Sicyos angulat)。

危害性

刺果瓜通过竞争或占据本地物种生存空间、直接扼杀当地物种、分泌释放化学物质以抑制其他生物的生长。其生命力强、生长极为迅速,且覆盖面积非常大,一旦入侵将减少本地物种的种类和数量,甚至导致物种濒危或灭绝。

国外分布

原产北美洲,后作为观赏植物引入欧洲,因逃逸成为杂草,目前亚洲、欧洲均有分布。

03

假高梁

图为:假高粱(植株)。

w24.jpg

w25.jpg

图为:从进境粮食中截获假高粱(种子)。

截获情况

2022年,南京海关所属泰州海关在对进境大豆进行查验时,截获多种检疫性有害生物,其中从美国、巴西和阿根廷大豆中分别截获假高粱(Sorghum halepense)185 种次、428次和49次。

危害性

假高粱是“世界十大恶草”之一,能对谷类、棉花、苜蓿、甘蔗、麻类等30多种作物构成危害,不仅造成作物大幅减产,还可作为高粱属作物许多害虫和病毒的寄主。其花粉易与留种的高粱属作物杂交,使产量降低、品种变劣;根分泌物或腐烂的叶、茎、根,能抑制作物种子萌发和籽苗生长。假高粱中所含氰化物远高于其他栽培高粱,尤其嫩芽聚积量高,以第二期生长时最盛,牲畜误食可引起中毒甚至死亡。

国外分布

地中海地区;现广布于世界热带和亚热带地区,以及加拿大、阿根廷等高纬国家。

04

三裂叶豚草

w26.jpg

图为:三裂叶豚草

(植株)。

图为:从进境粮食中截获三裂叶豚草(种子)。

w27.jpg

截获情况

2022年,南京海关所属泰州海关在对进境大豆进行查验时,截获多种检疫性有害生物,其中从美国和巴西大豆中分别截获三裂叶豚草(Ambrosia trifida)177种次和30种次。

危害性

三裂叶豚草吸肥能力和再生能力极强,造成土壤干旱贫瘠、遮挡阳光,降低农作物产量,而且豚草花粉是人类“枯草热”又称“花粉病”的主要病源,引发过敏性鼻炎和支气管哮喘等变态反应症。在美国,在豚草花粉传播的季节,大量人员因过敏反应而丧失劳动能力。

国外分布

原产北美,现分于美国、加拿大、墨西哥、瑞士、瑞典、澳大利亚、埃及、毛里求斯。

05

硬雀麦

w28.jpg

  图为:从进境粮食中截获硬雀麦(种子)。

截获情况

2022年,南京海关所属泰州海关在对进境大豆进行查验时,截获多种检疫性有害生物,其中从巴西大豆中截获硬雀麦(Bromus rigidus)11种次。

危害性

硬雀麦根系发达,与小麦争夺养分和水分,造成小麦严重减产。硬雀麦根系发达,繁殖速度快,与其他植物在水分、阳光、空间的竞争中优势明显,抑制了其他植物的生长,严重破坏生物多样性。

国外分布

分布于英国、美国、澳大利亚、土耳其沿海地区、塞浦路斯、叙利亚共和国、以色列、约旦、埃及、希腊、高加索、里海沿岸、北非地区、摩洛哥、阿尔及利亚、葡萄牙、西班牙等地区。

PART 04

传染病原类

01

小麦线条花叶病毒

w29.jpg

  图为:小麦线条花叶病毒。

截获情况

2022年,南京海关所属南通海关连续2次从进口玉米截获检疫性病害—小麦线条花叶病毒(Wheat streak mosaic virus,WSMV)。

危害性

该病毒自然寄主主要为麦类作物,可危害小麦、玉米、燕麦、大麦、黑麦等作物,造成作物减产30%-50%,严重的甚至绝收。小麦感病越早发病愈重,冬前发病不能拔节抽穗,提早枯死造成绝收;拔节期感病植株严重矮化,仅主穗和个别分蘖抽穗,穗小粒少,有40%植株无收;拔节后感病结实小穗减少,千粒重降低,造成很大的经济损失。

国外分布

该病毒首次发生于美国中部,后蔓延至加拿大、约旦、罗马尼亚等地。

02

麦类壳多胞斑点病菌

w30.jpg

  图为:麦类壳多胞斑点病菌。

截获情况

2022年,南京海关所属南通海关从进口加拿大大麦截获检疫性病害—麦类壳多胞斑点病菌(Stagonospora avenaef. sp. triticea)。

危害性

受害植株穗粒数减少,籽粒皱缩于枇,出粉率降低,早期受害还可影响成穗率,能引起高达53%的减产。

国外分布

美国、欧洲、加拿大、阿根廷、巴西。

部分图片来源于网络

南京海关倡议

建设美丽中国是你我共同的目标,守护国门安全人人有责、人人可为。

请自觉遵守《生物安全法》《动植物检疫法》及其实施条例等法律法规,不擅自引进外来物种,不携带、寄递《中华人民共和国禁止携带、寄递进境的动植物及其产品和其它检疫物名录》所列禁止进境物品,共同守护国门生物安全。

转自南京海关发布

w31.jpg
*滑块验证:
您需要登录后才可以回帖 登录 | 注册

本版积分规则

关闭

站长推荐上一条 /2 下一条

QQ|Archiver|手机版|小黑屋|外贸精英网 ( 京ICP备19046145号 )

GMT+8, 2025-11-7 02:51

Powered by Discuz! X3.5 Licensed

Copyright © 2001-2025 Tencent Cloud.

快速回复 返回顶部 返回列表